Please ensure Javascript is enabled for purposes of website accessibility

Project Details

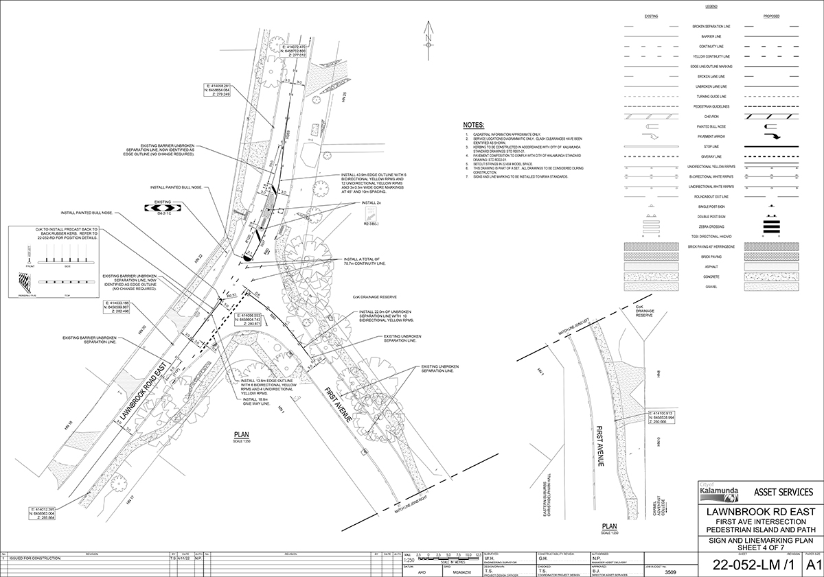
Lawnbrook Road East Upgrade of Intersection with First Avenue, Bickley

Project Status : Complete
Estimated Completion Date : Early July
Location : Lawnbrook Road and First Avenue, Bickley

Commencing: mid-May 2023

The City of Kalamunda has included in its 2022/2023 Capital Works Budget the upgrade of Lawnbrook Road East and First Avenue Intersection. The work includes widening of the intersection and installation of a pedestrian median island on Lawnbrook Road East.

Works will commence mid-May and it is anticipated to take eight weeks to complete. This timeframe could change due to contractor availability and weather conditions.

The City would like to assure the community, that every effort will be made during these works to minimise impact on those who live nearby and also to the environment.

1 Contractor contact details were provided as part of the notification letters sent to the properties in the work-related area.

The works at the intersection will provide a safer crossing point for parents and children walking to school and wanting to cross Lawnbrook Road East. This includes the construction of a median island providing a safety refuse area eliminating the risk of crossing 2 lanes of traffic. The island and reflectorised kerbing will highlight the intersection which will reduce the speed of vehicles as they pass through.

The works also include raising a small section of First Avenue to provide better sight lines to drivers for both approaching vehicles and pedestrians crossing Lawnbrook Road East.

Overall the benefits of this upgrade include improved sight lines and safer pedestrian crossing.

Project Images



Related Documents

Contact Information

City of Kalamunda
T: (08) 9257 9999
E: enquiries@kalamunda.wa.gov.au 
© City of Kalamunda 2026